“Property” 物件紹介
登録日2026年04月28日
金武町金武
- NEW
-
NEW

-
NEW

-
NEW

“Details” 土地情報詳細
-
- 価格
- 1,200万円
-
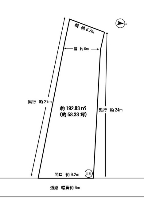
- 面積
- 58.33坪(192.83m²)
-
- 坪単価
- 20.57万円
-
- 用途地域
- 都市計画区域外
-
- 接道・幅員
- 東6m
-
- 建ペイ率
- 70%
-
- 容積率
- 400%
-
- 小学校区
- 中川小学校
-
- 中学校区
- 金武中学校
-
- 備考
-
ビーチまで車で約4分。中川小学校まで徒歩約10分。日常もリゾートも充実させたいなら一見の価値あり。
国道329号線近く、交通アクセス良好です♪
物件に関するお問い合わせはこちら
ご質問・ご相談など、お気軽にお問合せください。
Contactお電話でのお問い合わせはこちら
098-833-8855
受付時間
9:00~18:00(定休日:水曜日)